Description
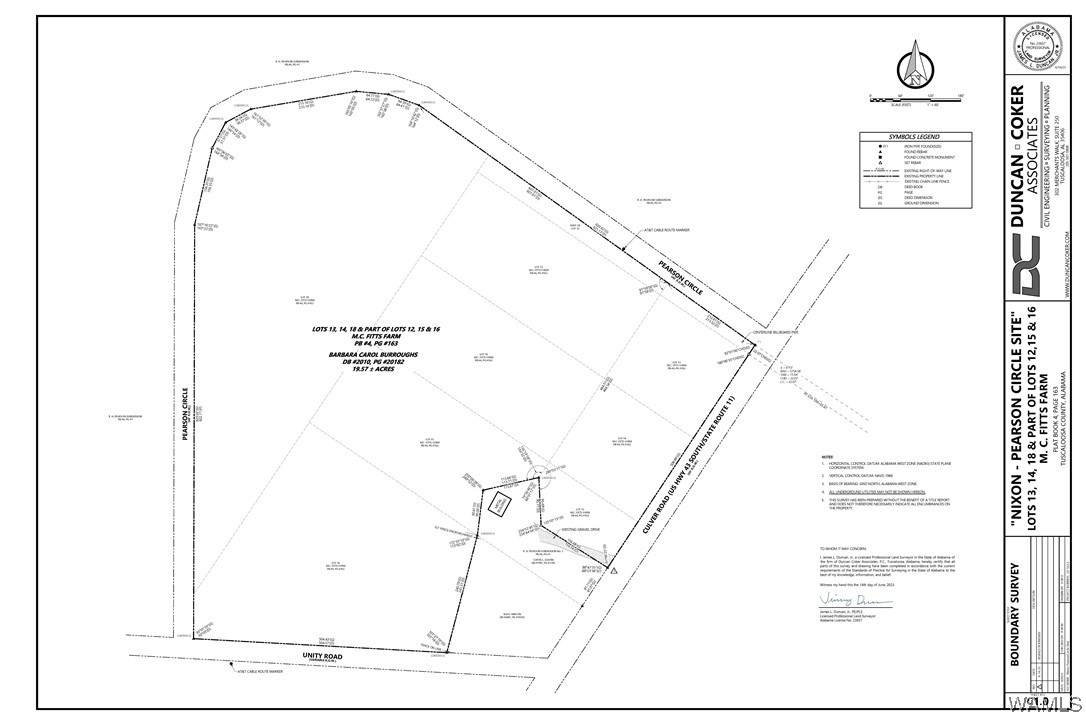
**FOR SALE** @ 13.3 acres located in Tuscaloosa County adjacent to the City of Tuscaloosa in the Police Jurisdiction. Sewer located adjacent to the property. Property can developed for Residential Subdivision (See drawing) and also has many potential Commercial uses. Property consists of a portion of Parcel ID# 31-09-31-4-005-002.000 Easy access from I-20/59 which is only 2.3 miles from the property. Can be sold along with the 6 acres (same Owner) which borders the property. Property included is highlighted in Green on the main rendering NOTE: Seller is a licensed Real Estate Agent in the State of Alabama
-
0BEDS
-
13.3ACRES
-
0BATHS
-
01/2 BATHS
-
579,348SQFT
-
$2$/SQFT
School Ratings & Info
Description
**FOR SALE** @ 13.3 acres located in Tuscaloosa County adjacent to the City of Tuscaloosa in the Police Jurisdiction. Sewer located adjacent to the property. Property can developed for Residential Subdivision (See drawing) and also has many potential Commercial uses. Property consists of a portion of Parcel ID# 31-09-31-4-005-002.000 Easy access from I-20/59 which is only 2.3 miles from the property. Can be sold along with the 6 acres (same Owner) which borders the property. Property included is highlighted in Green on the main rendering NOTE: Seller is a licensed Real Estate Agent in the State of Alabama
